Chia sẻ tin này:

Đất bán mặt tiền quận 12, mặt tiền đường 439, diện tích 10x 22m đường nhựa 7m thông, giá 12 tỷ.

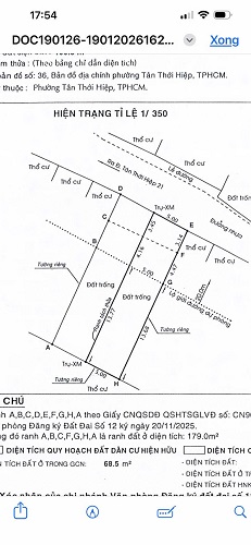
Diện tích: 220m2
Hướng: Hướng nhà
4 tuần trước
Đường 439, Phường Tân Thới Hiệp, 12, Hồ Chí Minh, Hồ Chí Minh

Đất bán mặt tiền quận 12, mặt tiền đường 439, diện tích 10x 22m đường nhựa 7m thông, giá 12 tỷ.

 Giá            :    12 tỷ     ( Mười hai tỷ đồng )

 Diện tích   :    220 m2

→ Hướng      :     Đông Bắc

 Pháp lý      :   Sổ hồng riêng.

 Khu vực  :      Phường Tân Thới Hiệp, quận 12.

Thông tin chi tiết:

– Đất bán mặt tiền quận 12, mặt tiền đường 439, diện tích 10x 22m đường nhựa 7m thông, giá 12 tỷ.

, đất hướng Đông  Bắc, đường rộng 7m thông, đối diện bệnh viện quận 12 chạy vô 500m, gần nhà thờ Tân Hưng.

– Hiện lô đất bán bao tách làm đôi với diện tích ngang 5 x 22m full thổ cư giá cho mỗi lô là 6 tỷ 150tr bớt chút, khách mua cả cặp không tách giá 12 tỷ bớt chút.

– Đất nằm trong khu dân cư đông đúc, thuận tiện đi lại, đường nhựa rộng nhiều biệt thự, nhà phố, quán café sân vườn, chợ, thuận tiện đi lại mọi hướng.

Hiện sổ là sổ đất, nhưng có xưởng sẳn trên đất, thuận tiện cho thuê, làm nhà xưởng.

– Đất mặt tiền thoáng mát tiện kinh doanh buôn bán vị trí rất đẹp thuận tiện buôn bán kinh doanh. Vị trí ngay chợ, siêu thị, các dịch vụ tiện ích đầy đủ. Chính chủ gởi bán.

Giá thương lượng.  (29)

Chia sẻ tin này: